Trật khớp háng từ khi sinh ra là một bất thường ở trẻ nhỏ nhưng thường bị bỏ sót do triệu chứng ban đầu khá kín đáo. Hiểu rõ nguyên nhân và các dấu hiệu sớm giúp cha mẹ chủ động phát hiện kịp thời, từ đó can thiệp hiệu quả để tránh ảnh hưởng đến dáng đi và sự phát triển sau này của trẻ. Bài viết dưới đây sẽ giúp bạn nhận biết tình trạng này một cách đơn giản, chính xác hơn.
Tổng quan về trật khớp háng bẩm sinh
Định nghĩa
Bẩm sinh trật khớp háng (CHD) là tình trạng trẻ sinh ra với khớp háng không ổn định do cấu trúc khớp phát triển bất thường ngay từ giai đoạn bào thai. Bệnh còn được gọi là loạn sản khớp háng phát triển. Khi trẻ lớn lên, mức độ lỏng lẻo của khớp có thể tăng dần.

Trong tình trạng này, chỏm xương đùi có thể trượt ra khỏi ổ cối, thậm chí bị lệch hoàn toàn khi vận động. Theo các nghiên cứu, có khoảng 1/1000 trẻ sơ sinh bị trật khớp háng ngay từ lúc chào đời.
Nguyên nhân gây trật khớp háng
Trong nhiều trường hợp, nguyên nhân chính xác của trật khớp háng vẫn chưa được xác định. Tuy nhiên, một số yếu tố có thể góp phần làm tăng nguy cơ, bao gồm:
Lượng nước ối thấp trong thai kỳ.
Thai ngôi mông (thai quay mông xuống dưới).
Tiền căn gia đình có người thân mắc bệnh.
Phụ nữ mang thai lần đầu khi tử cung chưa từng được giãn nở cũng có thể ảnh hưởng đến sự phát triển của khớp háng, làm tăng nguy cơ mắc bệnh.
Đối tượng có nguy cơ trật khớp háng
Trật khớp háng từ khi sinh ra gặp ở bé gái nhiều hơn bé trai, nhưng bất kỳ trẻ nào cũng có thể mắc bệnh. Vì vậy, bác sĩ sẽ kiểm tra khớp háng của trẻ ngay sau sinh và tiếp tục theo dõi trong các lần khám định kỳ trong năm đầu đời để phát hiện sớm các dấu hiệu bất thường.
Triệu chứng của trật khớp háng
Tình trạng bẩm sinh bị trật khớp háng đôi khi không biểu hiện rõ ràng, vì vậy bác sĩ và điều dưỡng sẽ luôn kiểm tra định kỳ ngay sau sinh và trong các lần khám sức khỏe đầu đời. Nếu có triệu chứng, trẻ có thể gặp một số dấu hiệu sau:
- Chân xoay ra ngoài hoặc hai chân có chiều dài không bằng nhau.
- Giảm khả năng vận động khớp háng, nhất là khi dang chân.
- Nếp gấp da ở đùi và mông không cân xứng khi duỗi chân.
- Chậm đạt các mốc vận động thô như ngồi, bò hoặc đi.

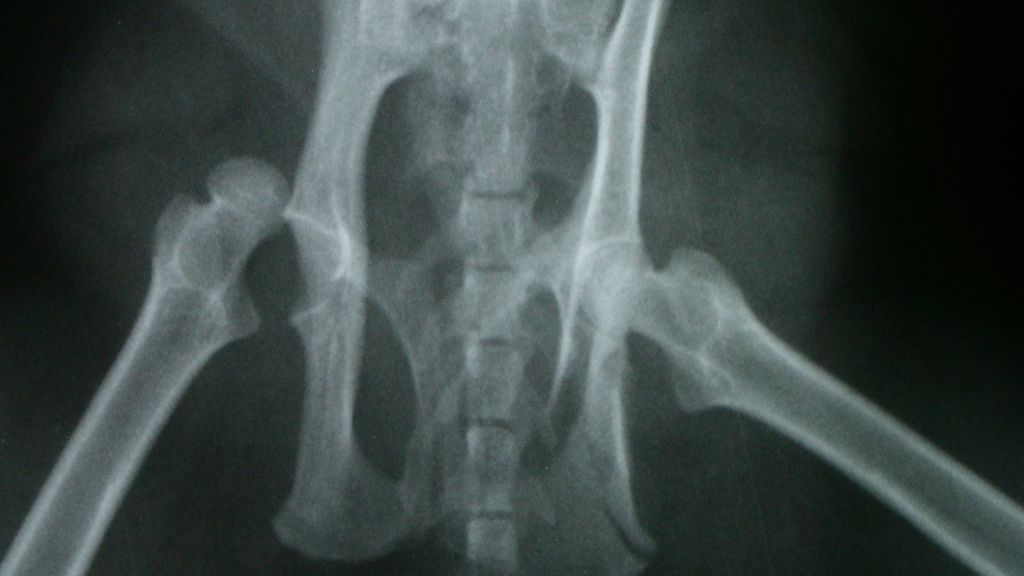
Chẩn đoán tình trạng trật khớp háng từ khi sinh ra như thế nào?
Việc sàng lọc được tiến hành ngay khi trẻ chào đời và tiếp tục trong năm đầu tiên. Phương pháp thường dùng nhất là khám lâm sàng. Bác sĩ sẽ nhẹ nhàng xoay và di chuyển khớp háng của trẻ để tìm dấu hiệu lục cục, đây là âm thanh hoặc cảm giác cho thấy khớp bị trật. Hai động tác kiểm tra chính gồm:
- Nghiệm pháp Ortolani: Bác sĩ đẩy nhẹ đùi lên và dang ra ngoài (dạng) để xem phần chỏm xương đùi có trượt vào ổ khớp hay không.
- Nghiệm pháp Barlow: Bác sĩ đưa đùi vào trong (khép) đồng thời đẩy nhẹ xuống để xem khớp có dễ bị trật ra ngoài không.
Các nghiệm pháp này chỉ chính xác trong 3 tháng đầu đời. Khi trẻ lớn hơn, dấu hiệu gợi ý gồm đi khập khiễng, giảm khả năng dạng háng và hai chân dài ngắn không đều (nếu chỉ một bên bị ảnh hưởng).
Để xác định chẩn đoán, bác sĩ sẽ chỉ định thêm hình ảnh học như siêu âm (với trẻ dưới 6 tháng tuổi) hoặc X-quang (với trẻ lớn hơn).
Các phương pháp điều trị trật khớp háng cho trẻ
Phác đồ điều trị phụ thuộc nhiều vào độ tuổi của trẻ và mức độ nặng của tình trạng lệch khớp.
Điều trị bằng đai Pavlik
Với trẻ dưới 6 tháng tuổi, phương pháp ưu tiên là sử dụng đai Pavlik. Thiết bị này giữ chân trẻ ở tư thế dạng và gập giống tư thế con ếch, giúp chỏm xương đùi nằm đúng vị trí trong ổ khớp và ổ khớp phát triển bình thường.
- Trẻ thường phải mang đai trong khoảng 6 – 12 tuần, có thể mang liên tục cả ngày hoặc chỉ theo giờ chỉ định.
- Thời gian điều trị tùy thuộc tuổi và mức độ lệch khớp.

Can thiệp phẫu thuật
Nếu khớp không ổn định dù đã mang đai Pavlik hoặc trẻ lớn hơn nên không thể sử dụng đai, bác sĩ sẽ xem xét phẫu thuật.
- Nắn chỉnh kín: Đưa chỏm xương đùi về đúng vị trí mà không cần rạch da.
- Nắn chỉnh mở: Phẫu thuật mở để loại bỏ các cấu trúc cản trở và đưa khớp về vị trí giải phẫu chuẩn.
Sau nắn chỉnh, trẻ thường được bó bột cố định vùng háng và chân trong khoảng 12 tuần.
Phẫu thuật xương
Với trẻ từ 18 tháng tuổi trở lên hoặc các trường hợp điều trị trước đó không hiệu quả, bác sĩ có thể chỉ định:
- Cắt chỉnh xương đùi: Nhằm điều chỉnh vị trí chỏm xương đùi.
- Cắt chỉnh xương chậu: Để tạo lại ổ khớp sâu và vững chắc hơn.
Những thủ thuật này giúp cải thiện hình dạng và chức năng của khớp, hạn chế nguy cơ biến chứng lâu dài.
Tiên lượng lâu dài như thế nào?
Tiên lượng của trẻ mắc trật khớp háng thường rất tốt nếu bệnh được phát hiện sớm và điều trị bằng đai Pavlik kịp thời. Ước tính khoảng 80 - 95% trẻ được chẩn đoán sớm có kết quả điều trị thành công, tùy thuộc vào mức độ nặng của tình trạng.

Với các trường hợp cần can thiệp phẫu thuật, tỷ lệ thành công thay đổi theo từng phương pháp và mức độ tổn thương. Một số trẻ chỉ cần một lần phẫu thuật, trong khi những trường hợp phức tạp hơn có thể phải trải qua nhiều lần mổ và theo dõi lâu dài. Nếu bệnh không được xử lý đúng cách trong giai đoạn đầu đời, trẻ có nguy cơ cao bị thoái hóa khớp háng sớm, đau mạn tính, thậm chí cần thay khớp háng khi trưởng thành.
Ngay cả khi điều trị thành công, trẻ vẫn cần theo dõi định kỳ với bác sĩ chỉnh hình để đảm bảo khớp háng phát triển bình thường và không tái phát bất thường.
Làm sao để phòng ngừa trật khớp háng từ khi mới sinh?
Hiện nay, không có cách nào ngăn chặn hoàn toàn trật khớp háng từ lúc mới sinh vì bệnh liên quan nhiều đến yếu tố di truyền và sự phát triển của thai nhi trong tử cung. Điều quan trọng nhất là khám sức khỏe định kỳ cho trẻ, giúp bác sĩ phát hiện sớm bất thường ở khớp háng và can thiệp kịp thời.
Cha mẹ cũng nên đảm bảo rằng trẻ đã được kiểm tra khớp háng ngay sau sinh và hỏi lại bác sĩ nếu chưa chắc chắn trước khi xuất viện. Điều này góp phần giảm nguy cơ bỏ sót bệnh và giúp điều trị đạt hiệu quả cao nhất.

Hi vọng qua bài viết này, ba mẹ đã nắm rõ những dấu hiệu và cách phát hiện sớm trật khớp háng bẩm sinh. Để bảo vệ sức khỏe lâu dài cho trẻ, hãy đưa bé đến Trung tâm Tiêm chủng Long Châu để được tư vấn tiêm phòng và hỗ trợ phòng ngừa hiệu quả.
:format(webp)/470051785_8767135473405056_691967411107495592_n_6b2bbff755.png)
:format(webp)/467434554_545745841560409_1066418224364723785_n_560a494f9c.png)
/6_3e84ff616f.png)
/rach_day_chang_co_tu_lanh_duoc_khong_cach_hoi_phuc_an_toan_628eb52f26.jpg)
/mo_day_chang_cheo_truoc_co_tac_dung_gi_luu_y_can_biet_4_6a8639bb11.png)
/dau_hieu_gian_day_chang_sau_dau_goi_la_gi_bien_phap_dieu_tri_3_50d29bfd98.png)
/day_chang_cheo_sau_vai_tro_va_cach_dieu_tri_khi_bi_chan_thuong_3_98ef05a387.png)